Service Guide

Get Ants Extermination Service

Local service providers can handle ant infestations, including removal and prevention for residential and commercial properties.

Ants can be more than just a minor nuisance; they can pose challenges for property owners looking to maintain a clean and comfortable environment. Whether you're dealing with an unexpected invasion or aiming to prevent future issues, finding experienced service providers in the area is an important step. Local contractors specializing in ant extermination understand the specific conditions of the region and can offer tailored solutions to meet your needs.

Exploring options for ant extermination services involves comparing local providers who have the expertise to handle different situations effectively. Property owners often seek reliable, professional assistance to ensure their spaces remain pest-free and protected. Continuing to explore and gather information can help you identify the right service provider to address your ant control needs efficiently.

Get Ants Extermination Service Quotes

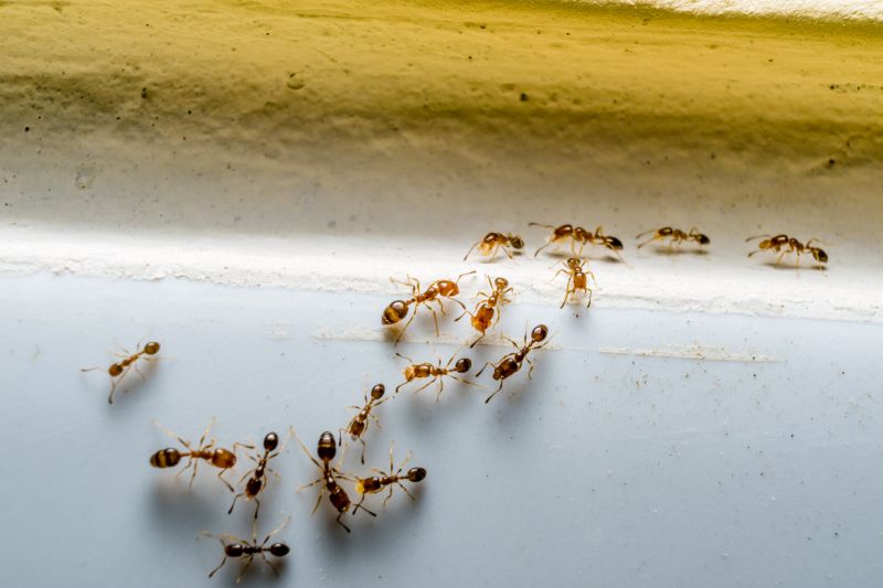
  • Ants Extermination - needed when ants invade kitchens or food storage areas.
  • Ants Control - required if ants are establishing nests inside walls or beneath floors.
  • Ants Removal - necessary when ant colonies threaten household comfort or hygiene.
  • Ants Pest Management - sought after in cases of persistent ant infestations in residential or commercial spaces.
  • Ants Eradication - needed when ant populations are causing damage to property or disrupting daily activities.
Ants Extermination Service
Ants Extermination Service
Ants Extermination Service

Ants extermination services involve identifying and eliminating ant infestations within residential or commercial properties. Skilled service providers use targeted treatments to remove ants from indoor and outdoor spaces, focusing on their nests and entry points. The process typically includes inspection to locate ant colonies, applying appropriate remedies, and implementing preventative measures to reduce the chance of future invasions. This approach helps ensure that homes and businesses remain ant-free and comfortable for occupants.

These services are especially helpful for resolving common problems caused by ants, such as unsightly trails, food contamination, and damage to property. Ants can invade kitchens, pantries, and other areas where food is stored, creating hygiene concerns. Some species may also cause structural damage by nesting in walls or wooden structures. Professional extermination not only eradicates the current infestation but also reduces the risk of recurring issues, providing peace of mind for property owners.

Ant extermination services are suitable for a variety of property types, including single-family homes, apartment complexes, office buildings, and retail spaces. Homes with gardens or yards are often more vulnerable to outdoor ant colonies, which can migrate indoors if not properly managed. Commercial properties that handle food or serve the public may require regular pest management to maintain health standards. Local contractors can tailor their treatment plans to meet the specific needs of different property types, ensuring effective and discreet service.

Homeowners and property managers typically seek ant extermination when noticing signs of an infestation, such as visible ants, ant trails, or unexplained damage. Early intervention can prevent larger problems and more extensive treatments later on. Whether dealing with a small nuisance or a more serious invasion, connecting with experienced local service providers can help address ant issues promptly and effectively. These professionals can assess the situation, recommend appropriate solutions, and help restore a pest-free environment.

The overview below groups typical Ants Extermination Service projects into broad ranges so you can see how smaller, mid-sized, and larger jobs often compare in your area.

In many markets, a large share of routine jobs stays in the lower and middle ranges, while only a smaller percentage of projects moves into the highest bands when the work is more complex or site conditions are harder than average.

Initial Inspection - The cost for an initial ant infestation inspection typically ranges from $100 to $250. Many routine inspections fall within this middle range, while more extensive assessments can reach higher prices.

Basic Treatment - Standard ant extermination services generally cost between $250 and $600 for smaller, localized jobs. Larger or more complex infestations may require additional treatments, increasing the overall cost.

Full Property Treatment - Complete property treatments often range from $600 to $1,200. These larger projects are less common but are necessary for severe or widespread ant problems across multiple areas.

Ongoing Prevention - Service providers offering ongoing prevention or follow-up treatments typically charge $150 to $400 per visit. Many projects include multiple visits, with fewer cases requiring extensive or long-term prevention plans.

Actual totals will depend on details like access to the work area, the scope of the project, and the materials selected, so use these as general starting points rather than exact figures.

Get a Quote

Pest Control for Cockroaches - local contractors use similar techniques and tools to identify and eliminate pests, including ants, in residential and commercial spaces.

Termite Inspection and Treatment - professionals employ planning and treatment methods comparable to ant extermination to prevent and address wood-damaging pests.

Spider and Insect Extermination - service providers apply similar pest management strategies and tools to control a variety of household insects, including ants.

Rodent Control Services - contractors utilize planning and trapping techniques akin to ant removal to manage rodent infestations effectively.

Bed Bug Treatment - experts use targeted planning and application methods comparable to ant extermination to eliminate bed bugs from indoor environments.

Wildlife Removal Services - professionals employ planning and trapping skills similar to those used in ant control to handle larger pest intrusions safely.

Ants Extermination Service

When comparing local contractors for ant extermination services, it’s important to consider their experience with similar projects. Homeowners should look for providers who have a proven track record of handling ant infestations comparable to their own situation. This can include understanding the specific types of ants present, the size of the affected area, and any unique challenges that might arise. A contractor with relevant experience is more likely to recommend effective treatment methods and deliver results that meet expectations.

Clear written expectations are essential when choosing a service provider. Homeowners should seek out contractors who provide detailed descriptions of their services, including the scope of work, methods used, and any follow-up procedures. Having this information in writing helps ensure that both parties are aligned on what will be done, reducing misunderstandings and providing a basis for evaluating the quality of service. Transparent communication about what to expect can also help homeowners make informed decisions.

Reputable references and good communication are key indicators of a dependable local contractor. Homeowners are encouraged to ask for references from past clients who had similar ant problems, as this provides insight into the contractor’s reliability and effectiveness. Additionally, contractors who communicate clearly and promptly can make the process smoother and more transparent. While the platform introduces homeowners to local options, it is important to reach out directly to service providers to assess their experience, reputation, and communication style before making a selection.

Get an Ants Extermination Service Quote

Property owners use Ants Extermination Service services for practical projects around their homes and businesses. This guide focuses on everyday jobs and straightforward project options.

Ants Extermination Service
Ants Extermination Service

Ants can quickly become a nuisance for property owners dealing with common household or yard issues. Whether ants are invading kitchens, nesting in gardens, or establishing colonies inside walls, many seek the help of local contractors to effectively address these infestations. These service providers are experienced in identifying ant species and implementing targeted removal methods to restore comfort and cleanliness to homes and outdoor spaces.

Property owners often look for ant extermination services when noticing persistent trails, unusual ant activity, or signs of nests around their property. Local contractors can assist with both immediate removal and preventative measures to help prevent future invasions. Connecting with experienced professionals ensures that ant problems are managed efficiently, allowing residents to maintain a pest-free environment.

Get an Ants Extermination Service Quote

How do local contractors handle ant infestations? Local contractors typically identify the source of the ant problem and apply targeted treatments to eliminate colonies and prevent future infestations.

Are there specific methods used for ant extermination? Yes, service providers often use baiting systems, residual sprays, and barrier treatments to effectively control ant populations.

Can ants return after treatment? While treatments aim to eliminate existing colonies, ongoing prevention measures may be recommended by local contractors to avoid re-infestation.

What types of ants can local pros treat? Local service providers are equipped to handle various ant species, including carpenter ants, fire ants, and odorous house ants.

How do local contractors ensure the effectiveness of ant extermination? They assess the extent of the infestation, choose appropriate treatment methods, and may provide advice on eliminating attractants to ensure long-term results.

Ants Prevention Tips - Property owners can learn how to reduce attractants around their homes to prevent ant infestations.

Inspection Guidance - Homeowners can identify common entry points and areas where ants may be nesting for proactive treatment.

Extermination Solutions - Local contractors offer targeted treatment options to eliminate existing ant colonies effectively.

Ongoing Maintenance - Property owners can explore regular service plans to keep ants from returning over time.

Ants Extermination Service

If you are thinking about Ants Extermination Service for a property, this guide is meant to help you understand the work, the typical project types, and how different options might fit your plans.

When you are ready, you can use the quote form on this page to share a few details about your project. From there, local pros can review the basics and respond with options that match what you have in mind.

Get a Quote

Ants Extermination Quotes